Участок под застройку продается, Rogoznica, 69 000 €

Привлекательный строительный участок с открытым видом на море - Рогозница!

На продажу выставлен привлекательный строительный участок с открытым видом на море, расположенный в тихом и уединённом месте в непосредственной близости от Рогозницы.

Кристально чистое море и благоустроенные пляжи находятся всего в десяти минутах езды, как и центр Рогозницы с богатым гастрономическим предложением, мариной, магазинами и всей необходимой инфраструктурой.

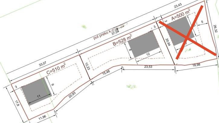
Строительный участок площадью 510 м2 предоставляет идеальные условия для строительства роскошной виллы для отдыха с бассейном и просторными террасами, которые полностью используют впечатляющий вид на море.

Также существует возможность покупки соседнего строительного участка площадью 528 м2 по цене 95 000 евро, что открывает дополнительные возможности для реализации более крупного инвестиционного проекта или эксклюзивного объекта.

Особую ценность этому предложению придаёт также факт наличия рядом с участком соседнего сельскохозяйственного участка площадью 2 700 м2 по цене 120 000 евро.

Это редкое сочетание строительного и просторного сельскохозяйственного участка позволяет создать частное поместье, средиземноморский сад, оливковую рощу или дополнительные объекты, которые обеспечат будущей недвижимости полную приватность и уникальный характер.

Речь идёт о выдающейся инвестиционной возможности в одном из самых желанных мест в окрестностях Рогозницы.



Дополнительная информация о недвижимости, а также просмотр недвижимости с агентом возможны исключительно после подписания Списка просмотров, в соответствии с действующим законодательством о защите персональных данных и Законом о посредничестве в сделках с недвижимостью.

Основная информация

  • Код объектаiro-2827
  • Цена продажи69 000 € (519 881 kn)
  • МестоположениеRogoznica
  • Площадь 510,00 m2
  • Тип участкаУчасток под застройку
  • Удалённость от моря3 000 m
  • Удалённость от центра3 000 m

Разные свойства

  • Вид на море

Поблизости

  • Общественный гараж
  • Центр посёлка

Местонахождение объекта

Свяжитесь с этим агентом

Tatjana Renić

Этот веб-сайт оставляет на вашем компьютере "файлы cookie" для навигации по содержимому и сбора анонимной статистики использования. Используя этот сайт, вы подтверждаете, что согласны с этим.